PROTEC YOUR PROPERTY
FROM FLIES
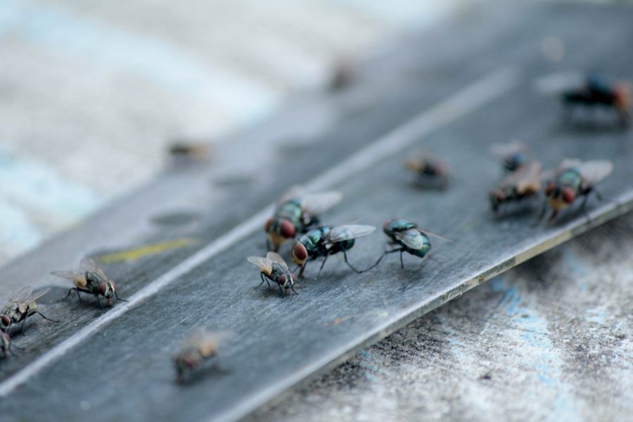
Spotting Flies around your property?
Have you suddenly noticed blood stains on your clothes, bed sheets, and pillow cases? waking with itchy skin and bites? Carpet Beetles can very quickly get out of control with the potential to cause health risks to you and your family. Our professional bed bug treatment will exterminate bed bugs and prevent any future recurrence.
DON’T DELAY, CALL TODAY
Welcome to Flagship Pest Control Pest Control
At Flagship Pest Control Pest Control, we are committed to providing top-quality pest control services to both residential and commercial clients. Our team of experienced professionals are equipped to handle all types of pests, including ants, bed bugs, rodents, termites, and more. We understand the importance of keeping your home or business pest-free, and we take pride in delivering effective solutions that are tailored to your specific needs. Contact us today to schedule an appointment!
Signs of a Flies Infestation
What are the signs of a fly infestation? Here are a few signs to look out for:
Increased Fly Activity: Seeing more flies buzzing around your home, especially near food sources like trash cans or fruit bowls.
Maggots: Finding maggots, which are fly larvae, in garbage bins or other decaying organic matter.
Fly Spots: Small dark spots or specks on walls, ceilings, and other surfaces where flies rest.
Dead Flies: Finding dead flies on windowsills or near light sources.
Buzzing Sounds: Hearing constant buzzing sounds, particularly in kitchens and bathrooms.


FLY HABITAT
Flies are known as “filth pests” because they often breed in decaying organic matter, garbage, and other unsanitary conditions. They thrive in warm, humid environments and can be found in kitchens, bathrooms, and other areas where food and moisture are readily available. Flies do not have nests but lay eggs in decaying organic matter, which can hatch and spread quickly.
There is a common misconception that infestations are a result of poor hygiene. Flies, like bed bugs, do not have a preference for cleanliness. They are only concerned with finding a suitable environment to lay their eggs. Therefore, they often hide in places that provide easy access to food and moisture.
INVISIBLE TO THE NAKED EYE
Flies are tiny and can be difficult to spot until there is a significant infestation. They are silent attackers, often going unnoticed until they have caused considerable discomfort and health risks.
FLY REMOVAL?
If you suspect a carpet beetle infestation, it is crucial to take immediate action. Here are some steps you can take:
CLEAN AND SANITIZE
Regularly clean and sanitize your home, paying special attention to kitchens, bathrooms, and garbage bins.
REMOVE FOOD SOURCES
Dispose of decaying organic matter and keep food covered to prevent flies from accessing it.
USE FLY TRAPS
Use fly traps or sticky tape to capture and remove flies from your property.
CONSULT A PROFESSIONAL
Pest control experts can help identify the extent of the infestation and provide effective treatment options. They have the knowledge and tools to safely and efficiently remove squirrels from your property.

Don't let these rats take over your home
Book our team to inspect your property for any pests.
We’ll protect your home from these unwanted invaders!